Beet Armyworm on Solanaceous Crops
Return to Insect Pests
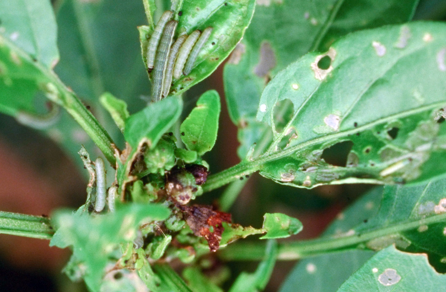
Beet armyworm (Spodoptera exigua). Beet armyworm is a serious pest of vegetables in Kentucky, often appearing in August or September. Mature larvae are about 1½ inch long and can rapidly defoliate plants. Female moths lay masses of up to 80 eggs under a covering of cottony-white scales, as many as 600 eggs over a three- to seven-day period. Eggs hatch in two to three days, with the larvae first feeding together in a group near the egg cluster. As the larvae grow, they gradually move away from the egg masses. In fresh market tomatoes, treatment is needed when 3% fruit feeding (shallow, dry cavities in the fruit) is noted. Beet armyworm is resistant to pyrethroid insecticides. Larvae often feed on pigweed, so when scouting take time to look at any pigweeds in the vicinity of your crop.

Beet armyworm larvae.
(Photo: UK Vegetable IPM Team)

Beet armyworm mature larvae.
(Photo: UK Vegetable IPM Team)

Beet armyworm moth.
(Photo: UK Vegetable IPM Team)

Beet armyworm damage on pepper.
(Photo: UK Vegetable IPM Team)

Newly emerged beet armyworm larvae.
(Photo: UK Vegetable IPM Team)